Felipe F Posted December 31, 2018 at 12:49 AM Share Posted December 31, 2018 at 12:49 AM Tópico para Monitoramento de Tufões no Pacífico Oeste - 2019 ============================================================================================================================== Informações Básicas: Período: Ano Todo (Maior atividade entre Maio e Outubro) Cobertura: Entre 100 Graus Leste a 180 Graus Oeste (Limite da Linha Internacional de Data) Órgão Responsável por Monitorar: Agência Meteorologica do Japão - JMA (Toda Bacia); PAGASA (para as Filipinas), além do JTWC para interesses dos EUA. Sufixo para INVEST: "W" Classificação de Fases: Depressão Tropical (Até 64km/h); Tempestade Tropical (64 a 117km/h) [somente para o JMA - Tempestade Tropical Severa (89 a 117km/h)]; Tufão (118 a 240km/h); [somente para o JTWC - Super Tufão (240km/h ou mais)]. ========================================================================================================================== Nessa bacia, há uma lista rotatória de nomes dados pelos países da região mais os EUA, sem definição por anos. Próximos nomes internacionais para o Pacífico Oeste adotados pelo JTWC: Pabuk Wutip Sepat Mun Danas Nari Wipha Francisco Lekima Krosa Bailu Podul Lingling Kajiki Faxai Peipah Tapah Mitag Hagibis Neoguri Bualoi Matmo Halong Nakri Fengshen Kalmaegi Fung-wong Kammuri 1 Link to comment Share on other sites More sharing options...
Darley Posted January 3, 2019 at 09:31 PM Share Posted January 3, 2019 at 09:31 PM E já temos a primeira tempestade tropical da temporada: Pabuk. A Tailândia está na rota dessa tempestade, e será a primeira vez em 30 anos que parte da Tailândia é atingida por tempestades tropicais fora do período de monções. Ondas de até 7 metros estão previstas. https://www.em.com.br/app/noticia/internacional/2019/01/03/interna_internacional,1018429/milhares-de-turistas-fogem-de-tempestade-tropical-na-tailandia.shtml 2 Link to comment Share on other sites More sharing options...
Felipe F Posted February 21, 2019 at 11:33 PM Author Share Posted February 21, 2019 at 11:33 PM Wutip se formou no Pacífico Oeste no dia 18. O sistema se fortaleceu para o primeiro tufão de 2019. O ciclone está na categoria 2 no momento e pode afetar Guam nos próximos dias. Wutip pode se tornar a primeira tempestade de fevereiro a passar tão perto de Guam desde a IRMA em 1953. 1 Link to comment Share on other sites More sharing options...
Felipe F Posted February 22, 2019 at 01:11 PM Author Share Posted February 22, 2019 at 01:11 PM Wutip se fortaleceu para categoria 3. Ciclone já causa chuvas em Guam. Link to comment Share on other sites More sharing options...
Felipe F Posted February 23, 2019 at 03:18 AM Author Share Posted February 23, 2019 at 03:18 AM Wutip próximo da categoria 4. Ventos com força de tempestade tropical já afetam Guam. 1 Link to comment Share on other sites More sharing options...
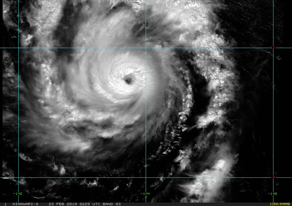
Felipe F Posted February 23, 2019 at 01:25 PM Author Share Posted February 23, 2019 at 01:25 PM WUTIP SE TORNA O TUFÃO MAIS INTENSO DA HISTÓRIA DO PACIFICO OESTE EM FEVEREIRO!!! Está bem próximo da categoria 5, com ventos sustentados em 250 km/h e pressão de 922 mbar! 3 Link to comment Share on other sites More sharing options...
Felipe F Posted February 23, 2019 at 05:33 PM Author Share Posted February 23, 2019 at 05:33 PM Wutip 1 Link to comment Share on other sites More sharing options...
Tavares Posted February 23, 2019 at 08:33 PM Share Posted February 23, 2019 at 08:33 PM 2 Link to comment Share on other sites More sharing options...
Felipe F Posted February 25, 2019 at 04:17 AM Author Share Posted February 25, 2019 at 04:17 AM Wutip passou por um ciclo de substituição da parede do olho e rapidamente se intensificou novamente. O ciclone tem uma nova chance de chegar na categoria 5. 1 Link to comment Share on other sites More sharing options...
Felipe F Posted February 25, 2019 at 04:20 AM Author Share Posted February 25, 2019 at 04:20 AM Link to comment Share on other sites More sharing options...
Felipe F Posted February 25, 2019 at 04:23 AM Author Share Posted February 25, 2019 at 04:23 AM Wutip completou 3 dias como um forte tufão (acima ou igual a categoria 3). Considerando dados desde 1950, este é o ciclone com maior duração em Fevereiro nesta intensidade. 1 Link to comment Share on other sites More sharing options...
Felipe F Posted February 25, 2019 at 04:27 AM Author Share Posted February 25, 2019 at 04:27 AM (edited) Wutip Wutip.mp4 Edited February 25, 2019 at 04:29 AM by Felipe F 1 Link to comment Share on other sites More sharing options...
PabloMartins Posted February 25, 2019 at 07:12 AM Share Posted February 25, 2019 at 07:12 AM Wutip fez um comeback impressionante nas últimas 24 horas. Após completar o ciclo de substituição da parede do olho, em uma localização onde o cisalhamento de vento está em torno de 5 e 10 nós, água do mar em torno de 27°C e com a influência de um anti ciclone nas camadas mais altas da atmosfera, Wutip se intensificou rapidamente de novo e agora se torna o 1° tufão da história (de que se tem registro) a atingir a categoria 5 nesta região do Pacífico durante o mês de Fevereiro. Wutip tem ventos de 260 km/h (160 mph) e pressão atmosférica estimada de 915 mbar pelo JTWC. As imagens de satélite e a saída de fluxo (outflow) do tufão impressionam: 2 Link to comment Share on other sites More sharing options...
Felipe F Posted February 25, 2019 at 02:15 PM Author Share Posted February 25, 2019 at 02:15 PM Wutip 2 Link to comment Share on other sites More sharing options...
Darley Posted February 25, 2019 at 02:16 PM Share Posted February 25, 2019 at 02:16 PM 9 horas atrás, Felipe F disse: Wutip passou por um ciclo de substituição da parede do olho e rapidamente se intensificou novamente. O ciclone tem uma nova chance de chegar na categoria 5. Pela rota do Wutip, Filipinas deve estar em alerta máximo. Acho que vai ser o primeiro tufão a atingir o país este ano. Lembrando que Filipinas é atingida por vários tufões e tempestades tropicais todo ano. Link to comment Share on other sites More sharing options...
PabloMartins Posted February 25, 2019 at 08:38 PM Share Posted February 25, 2019 at 08:38 PM 6 horas atrás, Darley disse: Pela rota do Wutip, Filipinas deve estar em alerta máximo. Acho que vai ser o primeiro tufão a atingir o país este ano. Lembrando que Filipinas é atingida por vários tufões e tempestades tropicais todo ano. Na verdade as Filipinas está pouco se lixando pra Wutip, que está em fase de enfraquecimento e não tem com o que se preocupar com este tufão. Fevereiro é o mês mais difícil de tempestades atingirem as Filipinas, ainda mais com a força de Wutip...a previsão indica rápido enfraquecimento dentro a partir das próximas 18-24h pois as condições atmosféricas e oceânicas vão se degradar dramaticamente, a água do mar em tese nunca deveria ter criado um tufão de categoria 5 em vista que está em apenas 26°C e 27°C. Wutip deve muita sorte. 1 Link to comment Share on other sites More sharing options...
Felipe F Posted February 27, 2019 at 02:49 PM Author Share Posted February 27, 2019 at 02:49 PM Wutip está morto. 1 Link to comment Share on other sites More sharing options...
Felipe F Posted July 30, 2019 at 06:36 PM Author Share Posted July 30, 2019 at 06:36 PM (edited) Após Wutip a temporada ficou bem parada. Tivemos 9 depressões tropicais e 4 tempestades tropicais. Os sistemas causaram poucos danos. A temporada deve dar um "BOOM" neste começo de Agosto. O primeiro sistema se tornaria uma fraca tempestade tropical dentro de 24 horas e afetaria a China e Vietnã no dias 01/02 de Agosto. O segundo sistema se formaria na costa leste das Filipinas entre os dias 02/03 de Agosto e poderia se tornar um forte tufão, que poderia ameaçar Taiwan, China ou Japão (existe divergência entre os modelos). O terceiro sistema se formaria na costa oeste das Filipinas entre os dias 03/04 de Agosto e também poderia ser um forte tufão. O ciclone poderia ser uma ameaça para China e Vietnã. O quarto sistema se formaria entre os dias 03/04 de Agosto perto das Filipinas também. Os modelos também indicam se tornando um tufão e depois ocorrendo o efeito fujiwara com o sistema 2. O quinto sistema se formaria a leste do Japão entre os dias 03/04 de Agosto e a previsão é que pode ser mais um forte tufão. Alguns modelos mostram uma ameaça ao Japão. GFS mostrando 4 ciclones simultâneos. Demais modelos são mais conversadores nas intensidades. Edited July 30, 2019 at 06:37 PM by Felipe F 1 Link to comment Share on other sites More sharing options...
Felipe F Posted August 5, 2019 at 08:26 PM Author Share Posted August 5, 2019 at 08:26 PM O primeiro sistema mencionado acima se formou e chegou na força de tempestade tropical. O ciclone foi nomeado de Wipha e causou intensas chuvas na China e Vietnã. No Vietnã 5 mortes foram confirmadas e 13 estão desaparecidos. Radar do dia 02 de Agosto. Link to comment Share on other sites More sharing options...
Felipe F Posted August 5, 2019 at 08:44 PM Author Share Posted August 5, 2019 at 08:44 PM O segundo e o quarto sistema se formaram, mas ao contrário do inicialmente previsto, não deve ocorrer um efeito fujiwara entre os dois ciclones. O segundo sistema atualmente é uma tempestade tropical. O ciclone foi nomeado de Lekima e já causou fortes chuvas nas Filipinas. Um naufrágio na costa do país deixou 31 mortos e 3 desaparecidos. O ciclone está previsto para ganhar força nos próximos dias e se tornar um forte tufão. Taiwan, China e Japão devem observar o desenvolvimento do sistema. O quarto sistema já é um tufão de categoria 1. O sistema foi nomeado de Francisco e está afetando o sul do Japão neste momento. O terceiro sistema poderia se formar nas próximas 48 horas, mas teria vida breve. Os modelos mostram agora ele sendo "engolido" por Lekima. O quinto sistema acabou de se formar. Neste momento já é uma depressão tropical e deve se tornar um forte tufão nos próximos dias. Os modelos indicam o landfall ocorrendo no sul do Japão. O próximo nome da lista é Krosa. Link to comment Share on other sites More sharing options...
Felipe F Posted August 5, 2019 at 08:54 PM Author Share Posted August 5, 2019 at 08:54 PM Francisco está fazendo landfall no sul do Japão neste momento. Rajadas de 144 km/h foram registradas. Link to comment Share on other sites More sharing options...
Felipe F Posted August 5, 2019 at 08:56 PM Author Share Posted August 5, 2019 at 08:56 PM Landfall ocorreu faz 30 minutos. 1 Link to comment Share on other sites More sharing options...
Felipe F Posted August 5, 2019 at 08:56 PM Author Share Posted August 5, 2019 at 08:56 PM Link to comment Share on other sites More sharing options...
Guest Wallace Rezende Posted August 5, 2019 at 10:19 PM Share Posted August 5, 2019 at 10:19 PM Francisco até conseguiu se organizar antes de tocar o solo mas não chegou à costa muito intenso, apenas mais um tufão “de rotina” para esta parte do Japão, e foi um primeiro "landfall" bem tardio para a até agora calmíssima temporada 2019 do Pacífico Oeste. Os tufões mais fortes a atingir as principais ilhas do Japão ocorreram entre as décadas de 30 e 60, sendo o mais forte em Kyushu o Tufão Ida de setembro de 1945, que trouxe um pressão mínima corrigida para o nível do mar de 916,1 hPa para a região de Makurazaki no extremo sul de Kagoshima em 17/09/1945. Miyazaki, a cidade mais próxima do centro de Francisco, também registrou seu recorde de menor pressão durante o Ida com 943,9 hPa ao nível do mar, mesmo já tendo recebido o sistema um pouco enfraquecido e sem o olho ter passado diretamente acima. A tabela dos recordes de Makurazaki e Miyazaki, com os respectivos recordes de pressão na primeira linha: http://www.data.jma.go.jp/obd/stats/etrn/view/rank_s.php?prec_no=88&block_no=47831&year=&month=13&day=&view=h0 http://www.data.jma.go.jp/obd/stats/etrn/view/rank_s.php?prec_no=87&block_no=47830&year=&month=&day=&view= A chuva provocada pelo Ida ainda provocou deslizamentos e mais de mil mortes nos arredores de Hiroshima, pouco mais de um mês depois da cidade ter sido devastada pela bomba atômica. No Japão ele é conhecido como Tufão Makurazaki (pelo lugar onde tocou o solo). Outros tufões particularmente devastadores foram o Muroto I de 1934 (recorde nacional de menor SLP no cabo Muroto com 911,9 hPa), o Vera em 1959 (recorde de menor pressão em Honshu, graves inundações por "storm surge" provocaram milhares de mortes nos arredores de Nagoia), e o Muroto II (ou Nancy) de 1961. Hoje o país está muito melhor preparado para tufões intensos, mas nenhum ainda rivalizou com a intensidade destes 4 nas últimas décadas, embora no ano passado o tufão Jebi, mais intenso a atingir uma das ilhas principais desde 1993, tenha causado muitos danos na região de Kansai. Link to comment Share on other sites More sharing options...
Guest Wallace Rezende Posted August 5, 2019 at 10:44 PM Share Posted August 5, 2019 at 10:44 PM (edited) 2 horas atrás, Felipe F disse: O primeiro sistema mencionado acima se formou e chegou na força de tempestade tropical. O ciclone foi nomeado de Wipha e causou intensas chuvas na China e Vietnã. No Vietnã 5 mortes foram confirmadas e 13 estão desaparecidos. A mesma região atingida pelo Rammasun em 2014, que foi um dos tufões mais impressionantes do século pois conseguiu se intensificar para categoria 5 mesmo após passar pelas Filipinas como categoria 3 (mais provável) ou 4 mínimo (normalmente um tufão enfraquece depois desse encontro). Após deixar as Filipinas, Rammasun se intensificou muito além das previsões e raspou o extremo nordeste da ilha de Hainan com força máxima antes de tocar a China continental já um pouco enfraquecido mas ainda forte (cat 3 ou 4). Rammasun foi o único tufão a atingir o topo da escala nesta parte do Mar do Sul da China desde o início do monitoramento regular no século XX. Pouco antes do olho tocar a ilha de Hainan, uma estação meteorológica remota chinesa num ilhote rochoso desabitado registrou uma pressão mínima de 899 hPa, segundo menor valor registrado fora de missões de reconhecimento no mundo, atrás apenas dos 895 hPa registrados por um capitão durante o furacão do Dia do Trabalho em 1935 (Florida Keys). Radar do Rammasun: Edited August 5, 2019 at 10:45 PM by Wallace Rezende Link to comment Share on other sites More sharing options...
Felipe F Posted August 7, 2019 at 12:03 PM Author Share Posted August 7, 2019 at 12:03 PM Tufão Lekima rapidamente se intensificando. Link to comment Share on other sites More sharing options...
Felipe F Posted August 7, 2019 at 12:05 PM Author Share Posted August 7, 2019 at 12:05 PM Francisco afetou as Coreias e agora está no mar do Japão. Ciclone Krosa se formou e deve seguir em direção ao Japão. Link to comment Share on other sites More sharing options...
Tavares Posted August 7, 2019 at 09:05 PM Share Posted August 7, 2019 at 09:05 PM A dança dos tufões 2 Link to comment Share on other sites More sharing options...
Tavares Posted August 8, 2019 at 01:30 PM Share Posted August 8, 2019 at 01:30 PM As ilhas mais populosas de Miyako-jima e Ishigaki vão escapar da parte mais intensa do Supertufão Lekima, que vai passar entre elas, sobre a ilha de Tarama, que tem cerca de 1000 habitantes. Lekima tem ventos sustentados de 249 km/h e rajadas de quase 300 km/h 1 Link to comment Share on other sites More sharing options...
Felipe F Posted August 8, 2019 at 04:55 PM Author Share Posted August 8, 2019 at 04:55 PM 1 Link to comment Share on other sites More sharing options...
Felipe F Posted August 8, 2019 at 05:20 PM Author Share Posted August 8, 2019 at 05:20 PM Rajadas de 168 km/h foram registradas em Miyakojima. Alguns locais acumulam mais de 100 mm nas ilhas japonesas. Link to comment Share on other sites More sharing options...
Felipe F Posted August 8, 2019 at 05:20 PM Author Share Posted August 8, 2019 at 05:20 PM LEKIMA E KROSA Link to comment Share on other sites More sharing options...
Felipe F Posted August 8, 2019 at 05:25 PM Author Share Posted August 8, 2019 at 05:25 PM Link to comment Share on other sites More sharing options...
Felipe F Posted August 8, 2019 at 05:35 PM Author Share Posted August 8, 2019 at 05:35 PM A estação da ilha que ficou na parede olho saiu do ar. Link to comment Share on other sites More sharing options...
Felipe F Posted August 8, 2019 at 07:07 PM Author Share Posted August 8, 2019 at 07:07 PM Link to comment Share on other sites More sharing options...
Felipe F Posted August 8, 2019 at 07:07 PM Author Share Posted August 8, 2019 at 07:07 PM Super Tufão Lekima 1 Link to comment Share on other sites More sharing options...
Sopron Posted August 8, 2019 at 09:34 PM Share Posted August 8, 2019 at 09:34 PM Perceba que além do Lekima que já provoca sérios danos em Taiwan e na China, o Krosa está na espreita e lentamente segue em direção ao sul do Japão 2 Link to comment Share on other sites More sharing options...
Guest Wallace Rezende Posted August 8, 2019 at 11:03 PM Share Posted August 8, 2019 at 11:03 PM (edited) 6 horas atrás, Felipe F disse: Interessantíssimo esse movimento, na última hora a parede interna do olho de Lekima (parte mais forte) literalmente desviou de de Tarama e depois retomou o movimento original, como se "sentisse" a presença das ilhas e não quisesse passar por cima. Para Miyokojima e Ishigaki (que experimentaram apenas a muito mais fraca parede externa do olho) Lekima foi quase "uma brisa", pois esta região tem um extenso histórico de impactos severos de tufões e hoje em dia quase todas as moradias são feitas de concreto reforçado; em setembro de 1966 o tufão Cora provocou uma rajada de 307 Km/h na estação meteorológica de Miyakojima, um recorde para áreas habitadas do Japão, e em 1959 o tufão Sarah trouxe a menor pressão atmosférica já registrada no local, 908 hPa. Neste link os principais recordes da estação meteorológica Miyakojima, incluindo a menor pressão na primeira linha e maiores rajadas de vento mais abaixo; mesmo sem saber Japonês é algo intuitivo, dá para adivinhar do que se trata muita coisa (o site da JMA só disponibiliza essas tabelas de recordes na versão em Japonês, que descobri na Wikipedia): http://www.data.jma.go.jp/obd/stats/etrn/view/rank_s.php?prec_no=91&prec_ch=%89%AB%93%EA%8C%A7&block_no=47927&block_ch=%93%DF%94e&year=&month=&day=&elm=rank&view= Edited August 8, 2019 at 11:15 PM by Wallace Rezende Link to comment Share on other sites More sharing options...
Felipe F Posted August 9, 2019 at 11:31 PM Author Share Posted August 9, 2019 at 11:31 PM Tufão Lekima fez landfall na China aproximadamente 5 horas atrás. O ciclone começou um ciclo de substituição da parede do olho e rapidamente perdeu força antes do landfall. A pressão mínima registrada foi de 929 mbar e as rajadas mais intensas de 180 km/h. Fortes chuvas também estão sendo registradas, com acumulados superiores a 150 mm em alguns locais. Radar Recordes de calor em Taiwan e China foram registrados devido ao ciclone. Em alguns locais fez 40ºC. Link to comment Share on other sites More sharing options...
Sopron Posted August 10, 2019 at 01:57 AM Share Posted August 10, 2019 at 01:57 AM Já está ocorrendo evacuações na região, porque são bastante poderosos. Muita inundação e destruição por onde passa Link to comment Share on other sites More sharing options...
Felipe F Posted August 15, 2019 at 05:51 PM Author Share Posted August 15, 2019 at 05:51 PM Krosa fez landfall no Japão com força de tempestade tropical. Até o momento 1 morte confirmada e 40 feridos. Fortes chuvas estão sendo registradas em boa parte do país. Alguns locais tiveram mais de 200 mm em 24 horas. Assim como Lekima, o ciclone causou o chamado vento Föhn em algumas áreas do Japão. Algumas cidades registraram recordes absolutos de calor. 1 Link to comment Share on other sites More sharing options...
Felipe F Posted September 3, 2019 at 12:58 PM Author Share Posted September 3, 2019 at 12:58 PM (edited) Após Krosa tivemos a formação de 5 depressões tropicais (com 14W sendo a única que merece destaque, pois pode ser um tufão daqui alguns dias) e três tempestades tropicais (Bailu, Podul e Kajiki). Tufão Lingling se formou no Pac. Oeste. O sistema pode afetar Taiwan, Japão, China e principalmente as Coreias. O ciclone está previsto para fazer landfall na Coreia do Sul no dia 07 de Setembro. Ciclone tropical 14W está previsto para ser um tufão dentro de alguns dias. O ciclone pode ameaçar o Japão, com alguns modelos colocando o landfall perto de Shizuoka. Edited September 3, 2019 at 12:58 PM by Felipe F 3 Link to comment Share on other sites More sharing options...
Felipe F Posted September 5, 2019 at 01:04 AM Author Share Posted September 5, 2019 at 01:04 AM O tufão Lingling se fortaleceu para a categoria 4. O ciclone está afetando neste momento algumas ilha japonesas. Twitter com informações do tufão de James Reynolds: https://twitter.com/EarthUncutTV/with_replies Link com dados da estação de Miyakojima: https://www.jma.go.jp/en/amedas_h/today-93041.html?areaCode=000&groupCode=65 Rajadas de até 130 km/h já foram registradas na ilha e pressão está em 986 mbar. 1 Link to comment Share on other sites More sharing options...
Felipe F Posted September 5, 2019 at 01:34 AM Author Share Posted September 5, 2019 at 01:34 AM Vento começa ganhar força. Link to comment Share on other sites More sharing options...
Felipe F Posted September 5, 2019 at 01:36 AM Author Share Posted September 5, 2019 at 01:36 AM 1 Link to comment Share on other sites More sharing options...
Felipe F Posted September 5, 2019 at 02:27 AM Author Share Posted September 5, 2019 at 02:27 AM Link to comment Share on other sites More sharing options...
Felipe F Posted September 5, 2019 at 02:48 AM Author Share Posted September 5, 2019 at 02:48 AM Link to comment Share on other sites More sharing options...
Felipe F Posted September 5, 2019 at 02:48 AM Author Share Posted September 5, 2019 at 02:48 AM Radar Link to comment Share on other sites More sharing options...
Felipe F Posted September 5, 2019 at 02:51 AM Author Share Posted September 5, 2019 at 02:51 AM Link to comment Share on other sites More sharing options...
Felipe F Posted September 5, 2019 at 02:54 AM Author Share Posted September 5, 2019 at 02:54 AM Link to comment Share on other sites More sharing options...
Recommended Posts