Felipe F Posted September 5, 2019 at 02:56 AM Author Share Posted September 5, 2019 at 02:56 AM Link to comment Share on other sites More sharing options...
Felipe F Posted September 5, 2019 at 03:00 AM Author Share Posted September 5, 2019 at 03:00 AM Link to comment Share on other sites More sharing options...
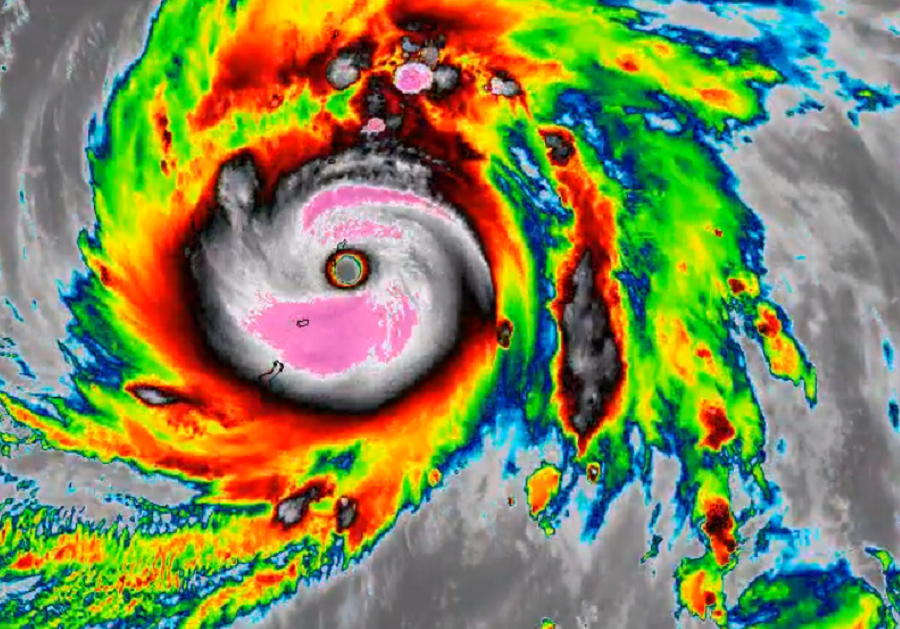
Felipe F Posted September 5, 2019 at 03:10 AM Author Share Posted September 5, 2019 at 03:10 AM RAJADA DE 187 KM/H EM MIYAKOJIMA NO MOMENTO!! Link to comment Share on other sites More sharing options...
Felipe F Posted September 5, 2019 at 03:12 AM Author Share Posted September 5, 2019 at 03:12 AM Link to comment Share on other sites More sharing options...
Felipe F Posted September 5, 2019 at 03:20 AM Author Share Posted September 5, 2019 at 03:20 AM Link to comment Share on other sites More sharing options...
Felipe F Posted September 5, 2019 at 03:20 AM Author Share Posted September 5, 2019 at 03:20 AM Link to comment Share on other sites More sharing options...
Felipe F Posted September 5, 2019 at 03:46 AM Author Share Posted September 5, 2019 at 03:46 AM Link to comment Share on other sites More sharing options...
Felipe F Posted September 5, 2019 at 03:57 AM Author Share Posted September 5, 2019 at 03:57 AM NO OLHO Link to comment Share on other sites More sharing options...
Guest Wallace Rezende Posted September 5, 2019 at 03:58 AM Share Posted September 5, 2019 at 03:58 AM (edited) Miyakojima está bem no olho de Lingling, ainda hoje saberemos qual foi a menor pressão registrada. Vamos ver se James vai conseguir filmar algumas nesgas de sol. Edit: Acabei de ver a última postagem, ele conseguiu. Será que Jim Edds registrou uma cena parecida no olho de Dorian? Edited September 5, 2019 at 04:00 AM by Wallace Rezende Link to comment Share on other sites More sharing options...
Felipe F Posted September 5, 2019 at 04:07 AM Author Share Posted September 5, 2019 at 04:07 AM RAJADA MÁXIMA DE 214 KM/H!! Link to comment Share on other sites More sharing options...
Felipe F Posted September 5, 2019 at 04:16 AM Author Share Posted September 5, 2019 at 04:16 AM 1 Link to comment Share on other sites More sharing options...
Felipe F Posted September 5, 2019 at 04:21 AM Author Share Posted September 5, 2019 at 04:21 AM 2 Link to comment Share on other sites More sharing options...
Felipe F Posted September 5, 2019 at 04:21 AM Author Share Posted September 5, 2019 at 04:21 AM Link to comment Share on other sites More sharing options...
Felipe F Posted September 5, 2019 at 04:22 AM Author Share Posted September 5, 2019 at 04:22 AM Radar Link to comment Share on other sites More sharing options...
Felipe F Posted September 5, 2019 at 04:24 AM Author Share Posted September 5, 2019 at 04:24 AM Link to comment Share on other sites More sharing options...
Felipe F Posted September 5, 2019 at 04:25 AM Author Share Posted September 5, 2019 at 04:25 AM Link to comment Share on other sites More sharing options...
Felipe F Posted September 5, 2019 at 04:30 AM Author Share Posted September 5, 2019 at 04:30 AM Passarinhos no olho. . Link to comment Share on other sites More sharing options...
Felipe F Posted September 5, 2019 at 04:31 AM Author Share Posted September 5, 2019 at 04:31 AM Link to comment Share on other sites More sharing options...
Felipe F Posted September 5, 2019 at 04:49 AM Author Share Posted September 5, 2019 at 04:49 AM Link to comment Share on other sites More sharing options...
Felipe F Posted September 5, 2019 at 05:24 AM Author Share Posted September 5, 2019 at 05:24 AM Olho ainda segue na ilha. A pressão mínima até o momento de 940 mbar. Link to comment Share on other sites More sharing options...
Felipe F Posted September 5, 2019 at 05:24 AM Author Share Posted September 5, 2019 at 05:24 AM Link to comment Share on other sites More sharing options...
Felipe F Posted September 5, 2019 at 05:24 AM Author Share Posted September 5, 2019 at 05:24 AM Link to comment Share on other sites More sharing options...
Felipe F Posted September 5, 2019 at 05:25 AM Author Share Posted September 5, 2019 at 05:25 AM Link to comment Share on other sites More sharing options...
Felipe F Posted September 5, 2019 at 05:25 AM Author Share Posted September 5, 2019 at 05:25 AM Link to comment Share on other sites More sharing options...
Felipe F Posted September 5, 2019 at 06:08 AM Author Share Posted September 5, 2019 at 06:08 AM 2 Link to comment Share on other sites More sharing options...
Felipe F Posted September 5, 2019 at 03:59 PM Author Share Posted September 5, 2019 at 03:59 PM Link to comment Share on other sites More sharing options...
Guest Wallace Rezende Posted September 6, 2019 at 02:03 AM Share Posted September 6, 2019 at 02:03 AM (edited) O James sempre faz ótimos vídeos, e Lingling realmente pode ser considerado um presente para ele pois foi tudo tão rápido (formação, intensificação, um alvo minúsculo no meio do oceano..) que a chance de dar tudo errado era grande, mas não só ele chegou a tempo como o local que ele escolheu foi atingido em cheio pelo olho. Por sorte, Miyakojima é uma das ilhas mais preparadas do mundo para o impacto destes fenômenos (como ele disse, foi construída “como uma fortaleza”; a arquitetura é até um pouco feia mas extremamente funcional, e dá cabo do desafio muito bem). Mas este tufão, apesar de bem forte (nos EUA possivelmente seria classificado como um categoria 4 inicial), esteve longe de ser um tufão histórico para a ilha, que já encarou coisa muito pior no passado e até por isso se preparou tão bem. Até a vegetação é perfeitamente podada nas áreas urbanas, de maneira a sofrer o mínimo durante os ventos fortes e se recuperar com rapidez depois. Os dados históricos da estação meteorológica principal da ilha (funcionando desde 1938) mostram que Lingling trouxe a quinta menor pressão atmosférica ao nível do mar e apenas a oitava rajada de vento mais forte (ou sétima, duas delas foram registradas em dias diferentes num mesmo tufão). O último tufão (bem) mais forte no local foi registrado em 2003 (Maemi). Ranking de menores pressões ao nível do mar (Miyako-Jima): 1 - 908,1 mb em 15/09/1959 (Sarah) 2 - 912 mb em 11/09/2003 (Maemi) 3 - 928,9 mb em 05/09/1966 (Cora) 4 - 934,1 mb em 01/08/1956 (Wanda) 5 - 940,5 mb em 05/09/2019 (Ligling) Ranking de rajadas de vento (Miyako-Jima): 1- 307,1 Km/h em 05/09/1966 (Cora) 2- 287,3 Km/h em 22/09/1968 (Della) 3- 280,8 Km/h em 23/09/1968 (Della) 4- 266,8 Km/h em 11/09/2003 (Maemi) 5- 252 Km/h em 23/06/1950 (Elsie) 6- 233,3 Km/h em 15/09/1959 (Sarah) - anemômetro avariado, perdeu o vento máximo. 7- 217,1 Km/h em 25/09/1957 (Faye) 8- 214,6 Km/h em 05/09/2019 (Lingling) Edited September 6, 2019 at 02:57 AM by Wallace Rezende Link to comment Share on other sites More sharing options...
Tavares Posted September 7, 2019 at 05:36 AM Share Posted September 7, 2019 at 05:36 AM (edited) Imagina na Olimpíada. Edited September 7, 2019 at 05:40 AM by Tavares 2 Link to comment Share on other sites More sharing options...
Felipe F Posted September 7, 2019 at 04:10 PM Author Share Posted September 7, 2019 at 04:10 PM Tufão Lingling perdeu força rapidamente, mas ainda chegou nas Coreias como um tufão. Desde 2000 um tufão não fazia landfall na Coreia do Norte segundo dados da JTWC. Uma ilha na costa da Coreia do Sul registrou pressão mínima de 975 mbar. Imagem de Lingling e Faxai 2 Link to comment Share on other sites More sharing options...
Felipe F Posted September 8, 2019 at 01:16 AM Author Share Posted September 8, 2019 at 01:16 AM Faxai se fortaleceu para categoria 4. O tufão pode chegar ao Japão entre domingo e segunda. Esse pode ser um dos ciclones mais fortes a chegar perto da capital nos últimos anos. Além dos ventos fortes, acumulados significativos de chuva (+250 mm) estão sendo esperados. Link to comment Share on other sites More sharing options...
Felipe F Posted September 8, 2019 at 05:33 AM Author Share Posted September 8, 2019 at 05:33 AM A ilha de Hachijojima já sente os efeitos do ciclone e rajadas de até 140 km/h foram registradas. JMA: http://www.jma.go.jp/en/amedas_h/today-44262.html?areaCode=000&groupCode=30 1 Link to comment Share on other sites More sharing options...
Tavares Posted September 8, 2019 at 05:25 PM Share Posted September 8, 2019 at 05:25 PM Faxai começando a entrar na região de Yokohama. Radar 1 Link to comment Share on other sites More sharing options...
Tavares Posted September 8, 2019 at 07:42 PM Share Posted September 8, 2019 at 07:42 PM Olho do tufão bem sobre a baía de Tóquio. Inusitado. Chiba, do lado oposto à capital japonesa pegou a parte mais intensa da parede do olho e registrou ventos constantes de mais de 100 km/h e rajadas de 170 km/h. 1 Link to comment Share on other sites More sharing options...
Felipe F Posted September 8, 2019 at 08:10 PM Author Share Posted September 8, 2019 at 08:10 PM Rajada de 207 km/h em Chiba, Japão e 157 km/h em Tokyo. Em Amagisan choveu 430 mm em 12 horas. Link to comment Share on other sites More sharing options...
Felipe F Posted September 8, 2019 at 08:13 PM Author Share Posted September 8, 2019 at 08:13 PM Citar Japan's Meteorological Agency says Typhoon Faxai has made landfall near Chiba City, east of Tokyo. Link to comment Share on other sites More sharing options...
Felipe F Posted September 8, 2019 at 08:15 PM Author Share Posted September 8, 2019 at 08:15 PM Pressão em 968 mbar em Chiba. Link to comment Share on other sites More sharing options...
Felipe F Posted September 8, 2019 at 08:17 PM Author Share Posted September 8, 2019 at 08:17 PM A maior rajada de vento até o mormento foi de 209 km/h em Kozushima. Link to comment Share on other sites More sharing options...
Felipe F Posted September 8, 2019 at 08:18 PM Author Share Posted September 8, 2019 at 08:18 PM Inundações em Yokohama Link to comment Share on other sites More sharing options...
Guest Wallace Rezende Posted September 9, 2019 at 01:43 AM Share Posted September 9, 2019 at 01:43 AM Como já foi dito, o tufão Faxai atingiu a região de Kanto no Japão hoje, com trajetória que levou os ventos mais fortes para o leste de Kanagawa, leste da baía de Tóquio e, principalmente, a província de Chiba. A cidade de Tóquio mesmo não registrou condições dignas de nota, e a rajada máxima sequer entrou para a lista das maiores (113 Km/h com Faxai, maior desde 01/10/2018 apenas quando chegou a 141,5 Km/h; o recorde é de 168,1 Km/h em 01/09/1938). Já Yokohama, na província de Kanagawa, registrou uma rajada de 150,5 Km/h durante a passagem de Faxai, a quinta maior desde o início dos registros em 1938 (o recorde de 175,3 Km/h também pertence ao tufão de setembro de 1938 responsável pelo recorde de Tóquio). Houve também inundação em algumas áreas costeiras da província por conta dos ventos que sopraram da baía antes da passagem do olho, mas sem maior gravidade, e chuva bem forte (pico de 66 mm por hora). O principal destaque foi a cidade de Chiba (capital da província homônima, localizada no fundo da Baía de Tóquio), que recebeu a parte mais forte do olho de Faxai e registrou uma rajada de 207 Km/h, quebrando facilmente o recorde anterior de 175 Km/h registrado em 01/07/1985. Os registros meteorológicos em Chiba foram iniciados em 1966, ou seja não há dados para o ano de 1938. O aeroporto de Narita, também na província de Chiba, foi outro lugar que registrou uma rajada recorde nesta madrugada de segunda-feira com 164,9 Km/h, mas só há dados de vento para este local desde 2003. Link to comment Share on other sites More sharing options...
edsr97 Posted October 6, 2019 at 07:09 PM Share Posted October 6, 2019 at 07:09 PM Tufão interessante para acompanhar. HAGIBIS 2 Link to comment Share on other sites More sharing options...
edsr97 Posted October 6, 2019 at 07:18 PM Share Posted October 6, 2019 at 07:18 PM (edited) 10 minutos atrás, edsr97 disse: Tufão interessante para acompanhar. HAGIBIS UKMET EURO Edited October 6, 2019 at 07:20 PM by edsr97 2 Link to comment Share on other sites More sharing options...
edsr97 Posted October 6, 2019 at 09:25 PM Share Posted October 6, 2019 at 09:25 PM (edited) Typhoon Hagibis Edited October 6, 2019 at 09:27 PM by edsr97 2 Link to comment Share on other sites More sharing options...
Darley Posted October 6, 2019 at 10:09 PM Share Posted October 6, 2019 at 10:09 PM Possivelmente o Tufão Hagibis pode ser o mais forte do ano(vale lembrar que no ano passado o tufão mais forte(Yutu) ocorreu justamente em outubro). O problema é que semana que vem tem corrida da Fórmula 1 e também partidas do Mundial de Rugby, e o Japão está na rota do Tufão Hagibis segundo previsões(especialmente o sudoeste do país), isso certamente pode atrapalhar os eventos esportivos por lá. Aproveitando: depois de Faxai houve três sistemas que se transformaram em tempestade tropical/tufão antes do Hagibis(a tempestade tropical Peipah, o Tufão Tapah e o Tufão Mitag, sendo este último deixando 10 mortes) 3 Link to comment Share on other sites More sharing options...
Tavares Posted October 7, 2019 at 05:14 AM Share Posted October 7, 2019 at 05:14 AM JTWC prevê ventos sustentados de 260 km/h rajadas de 315 km/h na Quarta e Quinta-feira. A previsão do JMA é menos agressiva com ventos sustentados abaixo de 200 km/h. 1 Link to comment Share on other sites More sharing options...
edsr97 Posted October 7, 2019 at 11:06 AM Share Posted October 7, 2019 at 11:06 AM (edited) TUFÃO HAGIBIS EM RÁPIDA INTENSIFICAÇÃO Edited October 7, 2019 at 12:22 PM by edsr97 2 Link to comment Share on other sites More sharing options...
edsr97 Posted October 7, 2019 at 11:46 AM Share Posted October 7, 2019 at 11:46 AM (edited) Hagibis Yutu Edited October 7, 2019 at 12:22 PM by edsr97 3 Link to comment Share on other sites More sharing options...
edsr97 Posted October 7, 2019 at 11:50 AM Share Posted October 7, 2019 at 11:50 AM 1 Link to comment Share on other sites More sharing options...
Tavares Posted October 7, 2019 at 12:12 PM Share Posted October 7, 2019 at 12:12 PM Pesado! 2 1 Link to comment Share on other sites More sharing options...
edsr97 Posted October 7, 2019 at 01:49 PM Share Posted October 7, 2019 at 01:49 PM Bem que podia ter um voo de reconhecimento 1 Link to comment Share on other sites More sharing options...
Paulo Vítor Posted October 7, 2019 at 02:39 PM Share Posted October 7, 2019 at 02:39 PM 16 horas atrás, Darley disse: Possivelmente o Tufão Hagibis pode ser o mais forte do ano(vale lembrar que no ano passado o tufão mais forte(Yutu) ocorreu justamente em outubro). O problema é que semana que vem tem corrida da Fórmula 1 e também partidas do Mundial de Rugby, e o Japão está na rota do Tufão Hagibis segundo previsões(especialmente o sudoeste do país), isso certamente pode atrapalhar os eventos esportivos por lá. Aproveitando: depois de Faxai houve três sistemas que se transformaram em tempestade tropical/tufão antes do Hagibis(a tempestade tropical Peipah, o Tufão Tapah e o Tufão Mitag, sendo este último deixando 10 mortes) Realmente pode atrapalhar estes eventos esportivos, por outro lado podemos ter ótimos vídeos do tufão. Link to comment Share on other sites More sharing options...
Recommended Posts