Felipe F Posted March 22, 2019 at 11:52 PM Author Share Posted March 22, 2019 at 11:52 PM Sirenes soando em Amarillo, TX. Até o momento apenas breve tornados reportados. 1 Link to comment Share on other sites More sharing options...
Felipe F Posted March 22, 2019 at 11:59 PM Author Share Posted March 22, 2019 at 11:59 PM Nuvem funil relatada Link to comment Share on other sites More sharing options...
Felipe F Posted March 23, 2019 at 12:00 AM Author Share Posted March 23, 2019 at 12:00 AM Sirenes soando em Amarillo, TX 1 Link to comment Share on other sites More sharing options...
Felipe F Posted March 23, 2019 at 12:02 AM Author Share Posted March 23, 2019 at 12:02 AM TV: https://abc7amarillo.com/watch 1 Link to comment Share on other sites More sharing options...
Felipe F Posted March 23, 2019 at 12:16 AM Author Share Posted March 23, 2019 at 12:16 AM Não se reportou nenhum tornado. Choveu muito granizo em áreas da cidade. 1 Link to comment Share on other sites More sharing options...
Felipe F Posted March 23, 2019 at 01:21 AM Author Share Posted March 23, 2019 at 01:21 AM Cactus, TX Cidade fica ao norte de Amarillo. 1 Link to comment Share on other sites More sharing options...
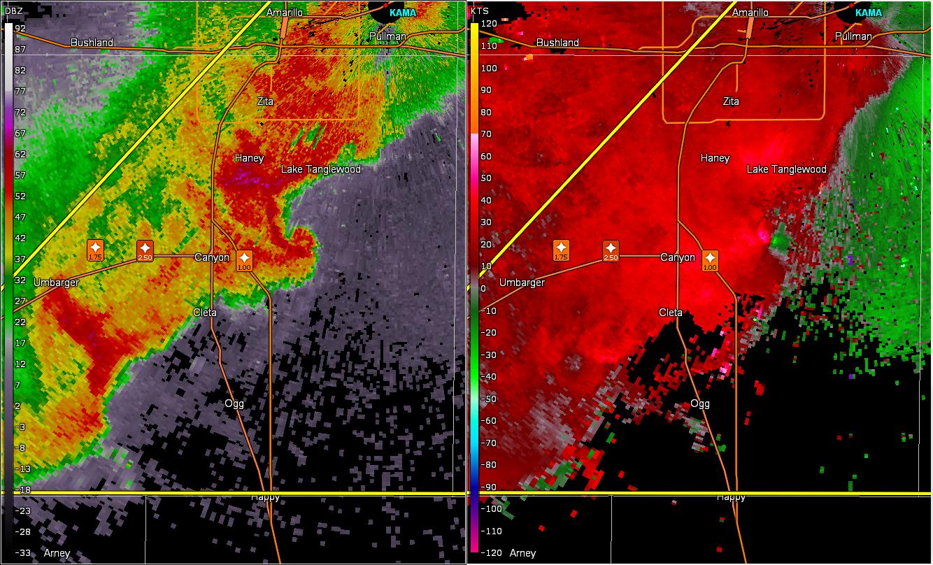
Felipe F Posted March 23, 2019 at 01:22 AM Author Share Posted March 23, 2019 at 01:22 AM Possível tornado perto de Canyon, TX 1 Link to comment Share on other sites More sharing options...
Felipe F Posted March 23, 2019 at 01:30 AM Author Share Posted March 23, 2019 at 01:30 AM Canyon, TX Breve e fraco tornado por vezes no chão. 1 Link to comment Share on other sites More sharing options...
Felipe F Posted March 23, 2019 at 01:35 AM Author Share Posted March 23, 2019 at 01:35 AM Célula segue apresentado forte rotação 1 Link to comment Share on other sites More sharing options...
Felipe F Posted March 23, 2019 at 01:40 AM Author Share Posted March 23, 2019 at 01:40 AM Rotação segue intensa na área. 2 Link to comment Share on other sites More sharing options...
Felipe F Posted March 23, 2019 at 02:24 AM Author Share Posted March 23, 2019 at 02:24 AM Canyon, TX 1 Link to comment Share on other sites More sharing options...
Felipe F Posted March 23, 2019 at 07:02 PM Author Share Posted March 23, 2019 at 07:02 PM Risco de tempo severo na região central de Oklahoma. Link to comment Share on other sites More sharing options...
Felipe F Posted March 23, 2019 at 10:47 PM Author Share Posted March 23, 2019 at 10:47 PM Granizo gigante sendo reportado nesta célula ao norte de OKC. Wall cloud reportada. 1 Link to comment Share on other sites More sharing options...
Felipe F Posted March 23, 2019 at 10:50 PM Author Share Posted March 23, 2019 at 10:50 PM Muito granizo em Edmond 1 Link to comment Share on other sites More sharing options...
Felipe F Posted March 23, 2019 at 10:53 PM Author Share Posted March 23, 2019 at 10:53 PM Edmond, OK 1 Link to comment Share on other sites More sharing options...
Felipe F Posted March 23, 2019 at 10:53 PM Author Share Posted March 23, 2019 at 10:53 PM Edmond 1 Link to comment Share on other sites More sharing options...
Felipe F Posted March 25, 2019 at 09:03 PM Author Share Posted March 25, 2019 at 09:03 PM Ontem tivemos centenas de reports de granizo. Hoje as tempestades afetam o AL, LA, TX, TN e GA. Destaque para o granizo ontem nos arredores de Dallas, TX. 1 Link to comment Share on other sites More sharing options...
Felipe F Posted April 8, 2019 at 12:43 PM Author Share Posted April 8, 2019 at 12:43 PM Março fechou 99 tornados confirmados, acima da média de 80. Desde dia 25 de Abril tivemos quase 400 reports de granizo e ventos fortes. 1 Link to comment Share on other sites More sharing options...
Felipe F Posted April 8, 2019 at 12:50 PM Author Share Posted April 8, 2019 at 12:50 PM 4 tornado confirmados entre ontem e hoje. Abril deve ter tempo severo até no mínimo dia 15 pelos dados atuais. 1 Link to comment Share on other sites More sharing options...
Felipe F Posted April 8, 2019 at 12:52 PM Author Share Posted April 8, 2019 at 12:52 PM O sistema que chama mais atenção vai ser entre 13/15 de Abril. Dia de Domingo de Ramos tem histórico de grandes tornados outbreaks. Link to comment Share on other sites More sharing options...
Felipe F Posted April 10, 2019 at 07:26 PM Author Share Posted April 10, 2019 at 07:26 PM Pueblo West, Colorado Link to comment Share on other sites More sharing options...
Felipe F Posted April 10, 2019 at 07:57 PM Author Share Posted April 10, 2019 at 07:57 PM Risco de tempo severo hoje em parte do Kansas e Nebraska. Maior ameaça será granizo. Amanhã tempo severo afeta Illinois e Indiana. A maior ameaça será ventos fortes. No sábado e domingo o tempo severo deve afetar o Deep South. Creio em dois dias de risco moderado. DIA 4 DIA 5 Outro evento SIGNIFICATIVO de tempo severo está sendo mostrado para quarta (17) de Abril. 1 Link to comment Share on other sites More sharing options...
Tavares Posted April 12, 2019 at 04:16 PM Share Posted April 12, 2019 at 04:16 PM Olha. Um significante surto de tornados é quase certo para amanhã. Também é provável um risco alto pra esse sábado. ...MAXIMUM RISK BY HAZARD... Tornado: 15% SIG - Moderate Wind: 45% - Enhanced Hail: 30% - Enhanced Basta haver um upgrade de risco tornádico pra 30%+SIG pra que haja um alto risco. 2 Link to comment Share on other sites More sharing options...
Felipe F Posted April 12, 2019 at 05:04 PM Author Share Posted April 12, 2019 at 05:04 PM Amanhã tem tudo para ser um dia de alto risco! Link to comment Share on other sites More sharing options...
Felipe F Posted April 13, 2019 at 03:08 AM Author Share Posted April 13, 2019 at 03:08 AM Link to comment Share on other sites More sharing options...
Felipe F Posted April 13, 2019 at 02:10 PM Author Share Posted April 13, 2019 at 02:10 PM DIA 1 - MODERADO RISCO * LOCATIONS... Central and northern Louisiana West-central Mississippi East Texas Southern Arkansas Western Alabama * HAZARDS... Several tornadoes, a few intense Widespread damaging winds Scattered large hail, some baseball size * SUMMARY... Tornadoes -- some potentially strong to violent (EF2+) -- are possible today from east Texas to central Mississippi. Otherwise, numerous severe thunderstorms will pose a risk of large hail, damaging wind and tornadoes from central Texas this morning to the Tennessee Valley region overnight. Preparedness actions... Review your severe weather safety procedures for the possibility of dangerous weather today. Stay tuned to NOAA Weather Radio, weather.gov, or other media for watches and warnings. A tornado watch means that conditions are favorable for tornadoes to form during the next several hours. If a tornado warning is issued for your area, move to a place of safety, ideally in a basement or interior room on the lowest floor of a sturdy building. 1 Link to comment Share on other sites More sharing options...
Felipe F Posted April 13, 2019 at 02:27 PM Author Share Posted April 13, 2019 at 02:27 PM Modelos indicam que a ameaça deve avançar durante toda madrugada no Alabama. Podemos ter uma ampliação da área de risco moderado devido a isso. No momento podemos ver diversas áreas de chuva na região, o que pode reduzir o potencial de tempo severo na parte leste do TX e LA. Esse evento pode ser significativo no oeste da LA, MS e AL, com um ALTO RISCO podendo ser emitido às 1630Z. No momento já temos 4 severe thunderstorm warning e 1 tornado warning em vigor no Texas. No momento apenas granizo e ventos fortes foram reportados. Link to comment Share on other sites More sharing options...
Felipe F Posted April 13, 2019 at 02:43 PM Author Share Posted April 13, 2019 at 02:43 PM Perto de San Antonio, TX 1 Link to comment Share on other sites More sharing options...
Felipe F Posted April 13, 2019 at 02:57 PM Author Share Posted April 13, 2019 at 02:57 PM Granizo perto de San Antonio, TX 1 Link to comment Share on other sites More sharing options...
Tavares Posted April 13, 2019 at 04:04 PM Share Posted April 13, 2019 at 04:04 PM Intensa rotação numa célula no Texas agora. 2 Link to comment Share on other sites More sharing options...
Tavares Posted April 13, 2019 at 04:08 PM Share Posted April 13, 2019 at 04:08 PM (edited) PDS TORNADO WARNING emitido neste alerta. TDS ao se aproximar de Calvert, Texas Edited April 13, 2019 at 04:11 PM by Tavares 2 Link to comment Share on other sites More sharing options...
Felipe F Posted April 13, 2019 at 04:11 PM Author Share Posted April 13, 2019 at 04:11 PM Tornado confirmado. Citar 11:09AM: Likely a significant tornado is ongoing near Mud Creek Road and South Hickory Loop in western Robertson Co (southeast of Calvert). On present track, the tornado will approach the town of Franklin. Take shelter immediately! Link to comment Share on other sites More sharing options...
Tavares Posted April 13, 2019 at 04:21 PM Share Posted April 13, 2019 at 04:21 PM (edited) Núcleo convectivo relativamente isolado. Toda a energia térmica da região vai alimentar essa célula por um tempo ainda. Desde anteontem os modelos HRRR e NAM mostravam uma célula com potencial tornádico se desenvolvendo nessa linha e até mais intenso que qualquer rotação na Louisiana. Edited April 13, 2019 at 04:23 PM by Tavares 1 Link to comment Share on other sites More sharing options...
Felipe F Posted April 13, 2019 at 04:25 PM Author Share Posted April 13, 2019 at 04:25 PM Danos confirmados na área. AO VIVO (BOB PACK): https://livestormchasing.com/map Link to comment Share on other sites More sharing options...
Felipe F Posted April 13, 2019 at 04:27 PM Author Share Posted April 13, 2019 at 04:27 PM Danos leves reportados. Franklin, TX 1 Link to comment Share on other sites More sharing options...
Felipe F Posted April 13, 2019 at 04:30 PM Author Share Posted April 13, 2019 at 04:30 PM Tornado Watch 53 emitido para Texas e Louisiana. 70%/60% para tornados Link to comment Share on other sites More sharing options...
Tavares Posted April 13, 2019 at 04:31 PM Share Posted April 13, 2019 at 04:31 PM (edited) Probabilidades abaixo do que eu esperava Edited April 13, 2019 at 04:31 PM by Tavares 1 Link to comment Share on other sites More sharing options...
Felipe F Posted April 13, 2019 at 05:04 PM Author Share Posted April 13, 2019 at 05:04 PM Alguns feridos sendo relatados em Franklin, TX. Maioria das pessoas estava em trailers. Link to comment Share on other sites More sharing options...
Felipe F Posted April 13, 2019 at 05:16 PM Author Share Posted April 13, 2019 at 05:16 PM Breve tornado reportado perto de Alto, TX. Resgastes em andamento em Franklin, TX. Relatos de vários feridos via rádio. Link to comment Share on other sites More sharing options...
Felipe F Posted April 13, 2019 at 05:26 PM Author Share Posted April 13, 2019 at 05:26 PM Tornado confirmado perto de Buffalo, TX. 1 Link to comment Share on other sites More sharing options...
Felipe F Posted April 13, 2019 at 05:29 PM Author Share Posted April 13, 2019 at 05:29 PM Um tornado ocorreu perto de Ratcliff, TX mais cedo. Pelo menos 3 pessoas ficaram feridas. Até o momento 4 tornado foram reportados no Texas. 1 Link to comment Share on other sites More sharing options...
Felipe F Posted April 13, 2019 at 05:50 PM Author Share Posted April 13, 2019 at 05:50 PM Outro surto é esperado entre 17 e 19 de Abril. Poderia ser muito significativo! Link to comment Share on other sites More sharing options...
Tavares Posted April 13, 2019 at 05:53 PM Share Posted April 13, 2019 at 05:53 PM (edited) 41 minutos atrás, Felipe F disse: Breve tornado reportado perto de Alto, TX. Resgastes em andamento em Franklin, TX. Relatos de vários feridos via rádio. Um novo tornado que está afetando a cidade de Crocket está se dirigindo pra cidade de Alto. Relatos de um tornado significativo. Incrível que essa região fica numa sombra de radares, nenhum muito próximo. Edited April 13, 2019 at 05:58 PM by Tavares 1 Link to comment Share on other sites More sharing options...
Felipe F Posted April 13, 2019 at 06:07 PM Author Share Posted April 13, 2019 at 06:07 PM Radar da fronteira LA/MS: http://wxdata.geos.ulm.edu/ULMradar/index.html Vai ser bem útil daqui algumas horas. @Tavares o tornado que falou está em uma área com cobertura de radar ruim. 1 Link to comment Share on other sites More sharing options...
Felipe F Posted April 13, 2019 at 06:08 PM Author Share Posted April 13, 2019 at 06:08 PM Danos em Alto, TX no primeiro tornado. 1 Link to comment Share on other sites More sharing options...
Felipe F Posted April 13, 2019 at 06:21 PM Author Share Posted April 13, 2019 at 06:21 PM Franklin, TX segundo relatos. Link to comment Share on other sites More sharing options...
Felipe F Posted April 13, 2019 at 06:28 PM Author Share Posted April 13, 2019 at 06:28 PM Link to comment Share on other sites More sharing options...
Felipe F Posted April 13, 2019 at 06:29 PM Author Share Posted April 13, 2019 at 06:29 PM Um segundo tornado está aproximando de Alto, TX. Link to comment Share on other sites More sharing options...
Felipe F Posted April 13, 2019 at 06:30 PM Author Share Posted April 13, 2019 at 06:30 PM Danos em Franklin, TX Link to comment Share on other sites More sharing options...
Felipe F Posted April 13, 2019 at 07:22 PM Author Share Posted April 13, 2019 at 07:22 PM Foto em Sacul TX. Cidade fica ao norte de Alto, TX. 1 Link to comment Share on other sites More sharing options...
Recommended Posts